Срочно! Нужна помощь собаке, которую пытались убить дважды
Пес получил тяжелейшие травмы в результате того, что в него стреляли, а потом сбили машиной.
Об этом сообщает «Вести Приднепровья».
Маленький, беззащитный, с ужасными ранами и сильной волей к жизни – таким в руки волонтеров приюта «Пегас» попал пес Мячик.

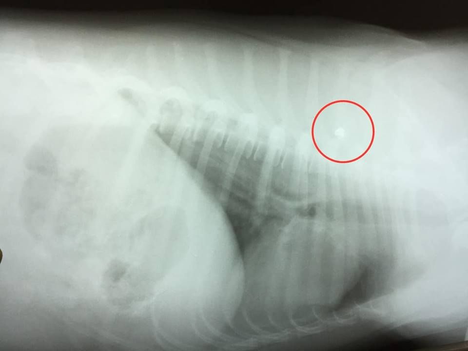
Когда ветеринары принялись осматривать раны собаки – ужаснулись. Кроме того, что Мячика сбила машина, в него еще и стреляли. Малоберцовую кость спасти невозможно, большая ее часть отломалась. Пуля чудом не задела спинной мозг. Есть глубокая рваная рана. При этом собака выжила. Но ей предстоит перенести сложную операцию. Волонтеры обращаются ко всем неравнодушным с просьбой помочь псу.
«Стоимость операции — 2 200 гривен. Мячик очень маленький пес, на фото он конечно намного больше выглядит. Такая кроха чудом выжила, причем 2 раза», — говорится в сообщении от волонтеров.
Более подробную информацию о том, как помочь Мячику, можно узнать здесь.


Ранее мы рассказывали о том, как сложилась судьба собаки, хозяина которой парализовало.
Читайте также: в Днепре распяли кота и вспороли живот беременной кошке.